1/2 Acre in Chama New Mexico near Carson National Forest
Rio Arriba County, New Mexico
Get New Property Updates
You'll be the first to know of our newly listed properties before anyone else, along with exclusive discounts on land. Sign up for our VIP list and get $250 off your first property purchase.
We promise to never send you spam or flood your inbox. I agree to be contacted by Ashbrook Land Company via call, email, and/or text. (To opt out, you can reply 'stop' at any time or click the unsubscribe link in the emails. Message and data rates may apply, message frequency varies.) Privacy Policy & Terms
Property Summary
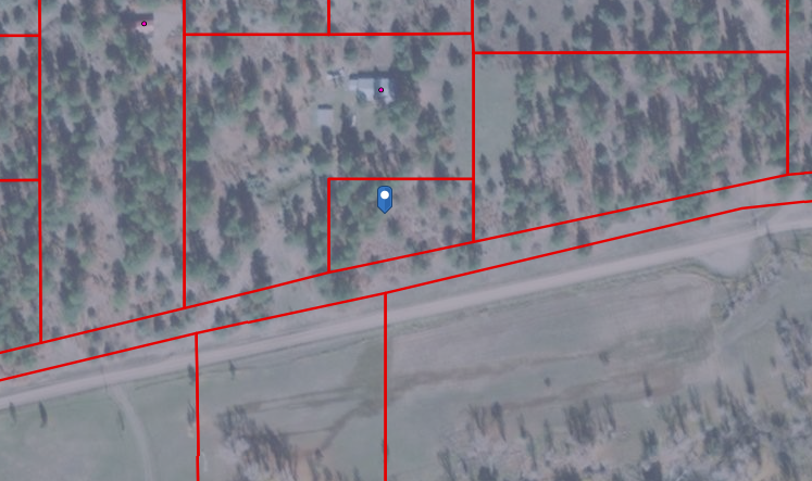
This half-acre beautifully treed property is located in the Cañones Creek canyon area near Chama, New Mexico, just a few miles south of the Colorado border. Set up your Rocky Mountain getaway here!
This area boasts millions of acres of national forest and wilderness, with plentiful outdoor activities all year long. And being only an hour from Pagosa Springs, Colorado, this parcel is very close to fantastic skiing and the deepest hot spring in the world. The Chama Valley area is known for being New Mexico's Fishing Paradise, having some of the best trout fishing waters with the Brazos, Chavez, and Chama rivers and Heron and El Vado lakes nearby. Great year-round outdoor adventures abound! In addition, you're only 2 hours from Santa Fe and 1 hour 45 minutes from Taos.
The property is located along County Road 342, a county-maintained gravel road that is plowed throughout the winter. Electric lines run along the road. Rio Arriba does not have an official zoning ordinance. No covenants or HOA/POA.
Grab this little piece of the Northern New Mexico Rockies for your family camping trips, your getaway RV pad, alternative cabin, horses, or that garage barn that you've been dreaming of for all of your vehicles.
Property Details
- address
- TBD County Rd 342
- city
- Chama
- state
- New Mexico
- zip
- 87520
- county
- Rio Arriba
- parcel id
- 1-019-179-370-060
- subdivision
- Canyon View Estates
- apn
- 1-019-179-370-060
- access
- Via a county-maintained gravel road
- zoning
- No official zoning regulations; this property is in the County Rural Agricultural District (CRAD). Single Family Residences and Accessory structures are allowed, along with agriculture and farming. Either a septic system OR a drilled well is allowed on a <3/4 acre lot, but not both due to the size of the lot. So alternative means for water (hauling + cistern) would be needed if you plan on putting in a septic tank, which is required for a residential structure. When developing, a development permit is valid for one year and can be renewed annually. Accessory structures (barns, garages, etc) are permitted without first building a primary dwelling. RV pads also permitted.
- property owners association
- None
- camping
- The County allows temporary camping. You can camp on the property as long the camping set up is not your permanent dwelling.
- terrain
- High-desert forest, ponderosa pine
- grade
- Mildly sloped (about 20ft of elevation gain from front to back of lot).
- elevation
- 7,800 ft
- power
- Electric power runs along the road. Northern Rio Arriba Electric Company serves the area.
- water
- Would be by water haul/cistern. A well is allowed for accessory buildings, gardens, agriculture, etc; but if a septic is installed for a residential dwelling, a well cannot also be drilled on a lot of this size.
- sewer
- Would be by septic. A permit for the installation of a septic system will be required from the State Environment Office.
- property taxes
- ~$34/year
- conveyance
- Free and Clear Warranty Deed
- gps coordinates
- 36.821206, -106.541844 (Center coordinates)
- google maps link
- https://goo.gl/maps/hWVmX8L9uXiqQpoq8
Property Photos
Property Map
Visit The Property
Get this interactive map sent to your smartphone so that you can use your phone’s GPS to find the property and walk the boundaries.
- Download the MapRight App onto your smartphone.
- Click this link in your phone's browser.
- Click the “Open in iOS” or “Open in Android” button.
Rachel made the entire land purchase a "piece of cake". She walked me through everything and was right on top of things. As soon as I sent the money, the deed was notarized and recorded only a couple of days later. I just visited my new property in Wolf Creek Montana today and I am very pleased with the purchase. Thank you again 😊
The Ashbrook Land Company is a superb company. Their communication skills and desire to help you obtain the land of your dreams is top notch. Probably some of the best service I’ve had when buying a piece of land. I would recommend them to anyone.
I just purchased a piece of land from Ashbrook Land Co., LLC, and I am very happy with the professional yet personal approach that Bob and Rachel Ashbrook gave to me.The whole process was easy and painless, and only took a couple of days. Everything was done online, but I felt completely secure giving out my personal information, because I think the Ashbrooks are truly honest people to deal with.





